Парцел в землището на град Бяла, област Варна → Обява 43167001

Парцел в землището на град Бяла, област Варна, снимка 1 - Земеделска земя - 43167001 Парцел в землището на град Бяла, област Варна, снимка 2 - Земеделска земя - 43167001 Парцел в землището на град Бяла, област Варна, снимка 3 - Земеделска земя - 43167001 Парцел в землището на град Бяла, област Варна, снимка 4 - Земеделска земя - 43167001 1/4
Парцел в землището на град Бяла, област Варна
гр. Бяла, Варна Наблюдавай

Публикувана/обновена на 30 април в 21:00 ч.


Декара
6.36 декара
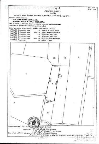
Продавам парцели в местността "Ловгис" в землището на град Бяла, област Варна. Разположени са северно от град Бяла, източно от главния път Варна - Бургас и на разстояние около 1,5 км над плажа Кара дере. Статут на земеделска земя. Подходящи за дългосрочна инвестиция. Парцелите са два и се продават заедно. Големият е 5 дка, малкия 1,357 дка. Цена 10 евро за кв.м.
Преглеждания: 7 246
Популярни търсения: lincoln electric
Цена:
60 000 € 117 349,80 лв