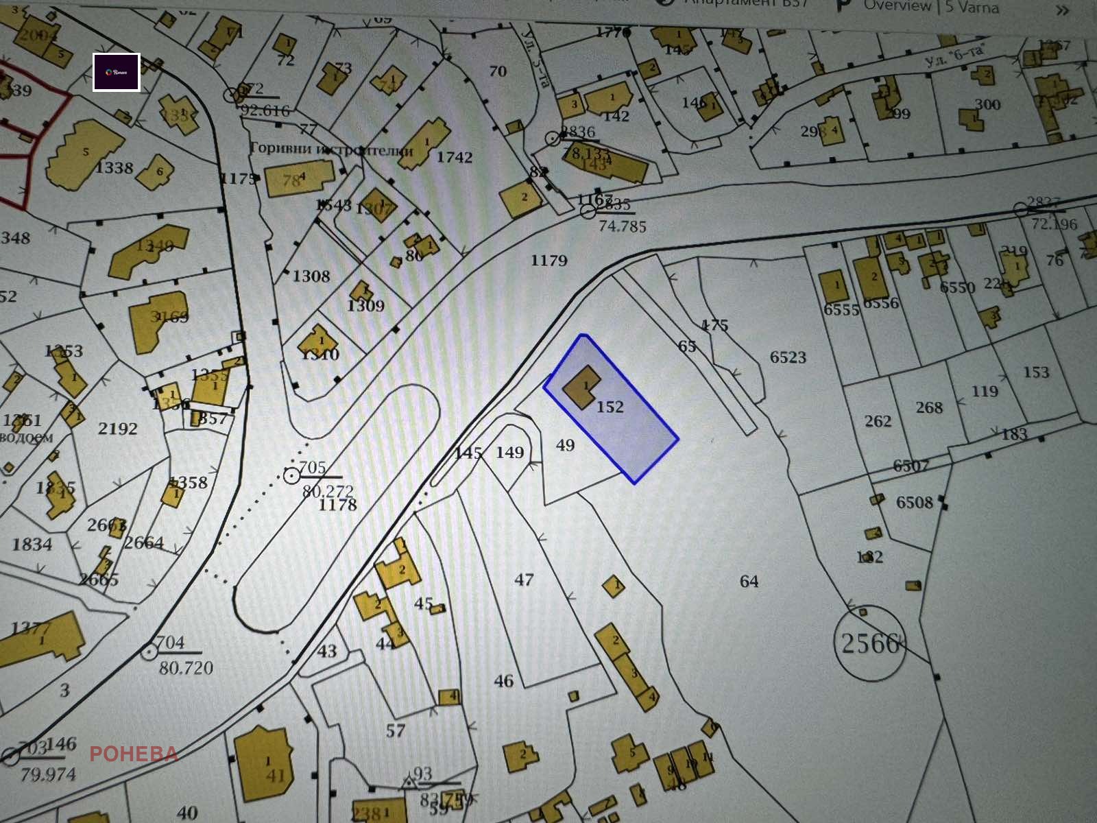
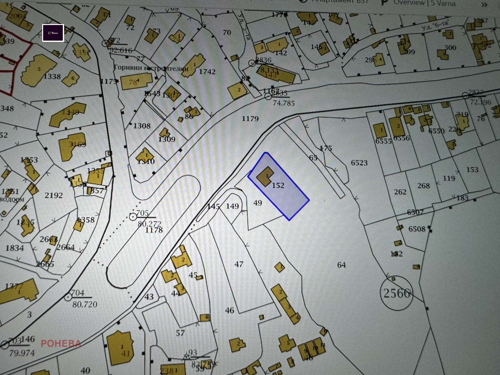
РОНЕВА
В Bazar.BG от 29 януари 2015г.
Последно активен
днес в 01:38 ч.
Още оферти на https://roneva.imot.bg





