ОСТАВАТ
00часа
00мин.
00сек.
до големите отстъпки на
Ден за разпродажби

Продава ПАРЦЕЛ, гр. София, Враждебна → Обява 51508526

Продава ПАРЦЕЛ, гр. София, Враждебна, снимка 1 - Парцели - 51508526 1/1
Продава ПАРЦЕЛ, гр. София, Враждебна
гр. София, Враждебна Наблюдавай

Публикувана/обновена на 05 януари в 11:02 ч.


Квадратура
5830 кв. м.
Цена на кв.м.
257 € кв. м.
Регулация
Да
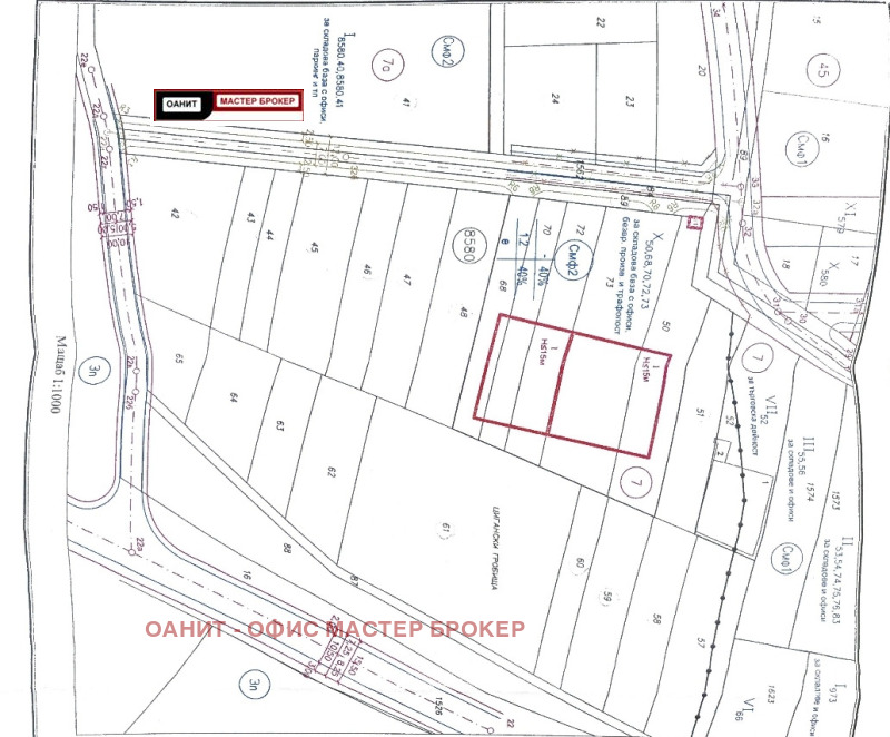
ВИЗА!!! ЕКСКЛУЗИВНА ОФЕРТА - ПРЕДЛАГАМЕ ЗА ПРОДАЖБА ПРЕКРАСЕН ПАРЦЕЛ(УПИ) ОТРЕДЕН ЗА СКЛАДОВЕ, ТЪРГОВИЯ, ОФИСИ И БЕЗВРЕДНО ПРОИЗВОДСТВО, С ВЛЯЗАЛ В СИЛА ПУП - находящ се на 200м от бул.Ботевградско шосе в зоната зад м-н 'Практис'. По ОУП на София попада в зона СМФ2 и има следните параметри на застрояване: Кинт - 1,2, Плътност 40%, Кота корниз - 15м. За имота има предварително съгласуване с ВиК и ЧЕЗ електро. Също така е направено и геоложко проучване с 4бр. шурфи, от които става ясно, че земята е с много добри показатели относно бъдещо строителство. Има възможност за закупуване на съседни П.И.- ти, с които след вкарването им в регулация, може да се оформи ново УПИ с площ до 12 000кв.м. и РЗП до 14 400кв.м. Бърз и лесен достъп от центъра на гр.София и идвайки към гр.София. За повече информация и огледи: Лъчезар Чонков 0887 235 237.
Преглеждания: 259
Другите търсят също
Препоръчани за теб
Цена:
1 500 000 € 2 933 745 лв
Цената е без ДДС