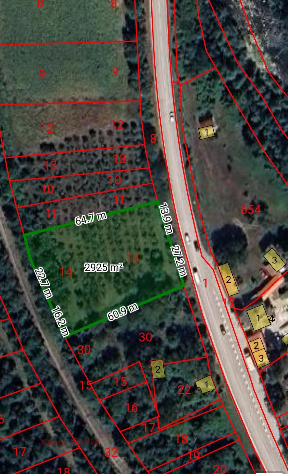
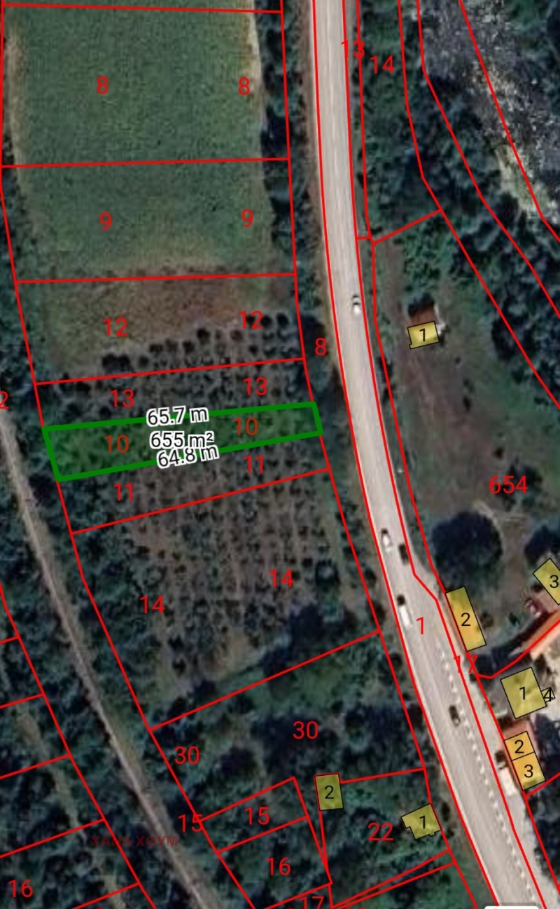
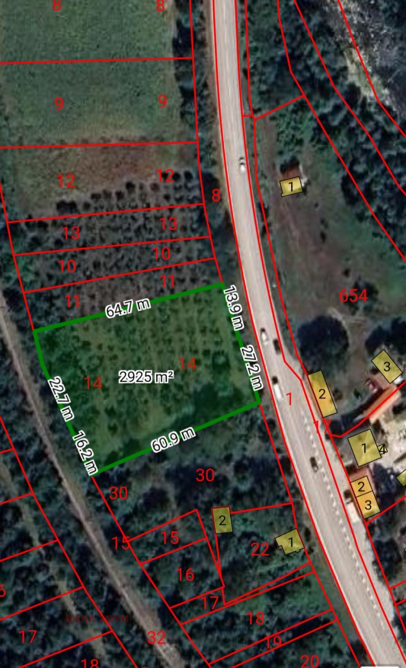
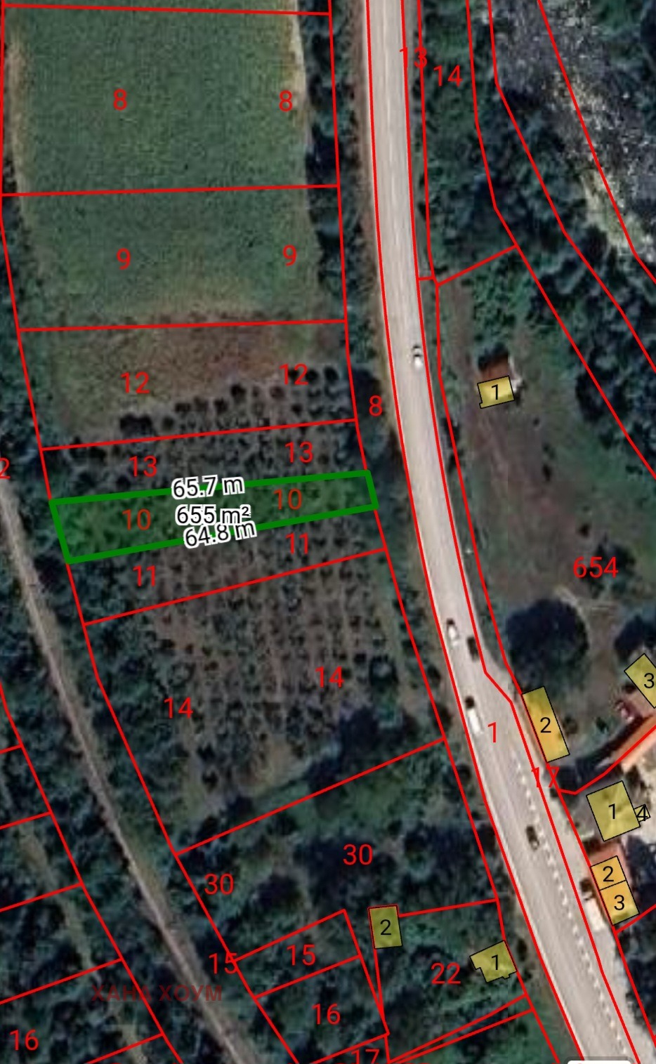
ХАНА ХОУМ
В Bazar.BG от 30 юни 2018г.
Последно активен
днес в 11:33 ч.
Още оферти на https://hanahome.imot.bg
















