ОСТАВАТ
00часа
00мин.
00сек.
до големите отстъпки на
Ден за разпродажби

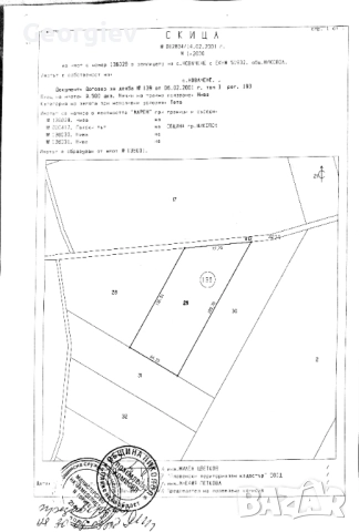
Продава се правоъгълен имот във в.з. Астарджийка, гр. Русе → Обява 52230598

Продава се правоъгълен имот във в.з. Астарджийка, гр. Русе
гр. Русе, в.з. Русофили Наблюдавай

Публикувана/обновена на 08 декември в 14:56 ч.


Декара
486 декара
Намира се на 2 км от главния път Русе - Варна и на 10 км. от центъра на града.

Имотът разполага с ток и вода, включени към кооперации!

Характеристики:
вид територия: Земеделска
категория: 5
НТП: За земеделски труд и отдих (съгласно § 4 ПЗРЗСПЗЗ),
площ: 486 кв.м.

Подходящ за отдих, градинарство, изграждане на вила.
Изключително тихо, спокойно и приятно място сред природата.
В местността съжителстват все повече млади семейства с деца.

За повече информация и огледи:
0895874049
Преглеждания: 694
Другите търсят също
Препоръчани за теб
Цена:
35 204,94 лв 18 000 €