Продава ПАРЦЕЛ, гр. Кърджали, Байкал → Обява 52784089

Продава ПАРЦЕЛ, гр. Кърджали, Байкал
гр. Кърджали, Байкал Наблюдавай

Публикувана/обновена на 09 декември в 02:46 ч.


Квадратура
541 кв. м.
Цена на кв.м.
83 € кв. м.
Ток
Да
Вода
Да
Регулация
Да
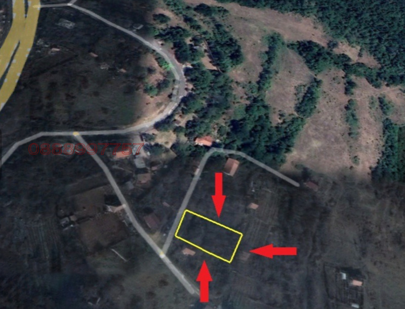
Продава парцел в гр. Кърджали, в кв. Байкал пред Сватбен салон La Dolce Vita, в месността Горичката. Парцела е с площ 541кв.м. и е подходящ за вила или къща. До имота има път, наоколо има вилни къщи и е с изглед към резиденцията, яз. Ст. Кладенец и хубава гледка към града. В близост има ток и вода.
Преглеждания: 2
Другите търсят също
Препоръчани за теб