Продава ПАРЦЕЛ, с. Здравец, област Варна → Обява 53173019

Продава ПАРЦЕЛ, с. Здравец, област Варна
с. Здравец, Варна Наблюдавай

Публикувана/обновена днес в 11:15 ч.


Квадратура
14465 кв. м.
Цена на кв.м.
38 € кв. м.
Поземлен имот с панорама към Стара планина идеален за жилищно строителство.

Представяме Ви уникален поземлен имот, разположен на 300 метра южно от новата регулация на с. Здравец, съгласно Общия устройствен план (ОУП). Имотът предлага невероятна панорама с 50 км хоризонт, с гледка към Стара планина и е обграден от дъбова гора и екопътеки.


Основни характеристики:

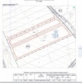
Площ: Двата парцела общо имат 76 метра лице на път и 208 метра дълбочина.
Терен: Разполага с естествен извор, което осигурява възможност за резервно водоснабдяване.
Инфраструктура: Има изготвени схеми за водоснабдяване, парцеларен план за комуникации и становище за електрическо присъединяване от ЕРП Север Варна.
Регулация: Имотът попада в зона, предназначена за нискоетажно жилищно строителство съгласно влязъл в сила ПУП-ПРЗ, с параметри:

Плътност на застрояване: 25%
Кинт: 0.6
Кота корниз: 7 м
Озеленяване: 60%


Достъп: Намира се на 15 км южно от гр. Варна, достъпът е бърз и комфортен по новоизграден път.


Подходящ за: Комплекс от затворен тип с къщи за постоянно обитаване или за туристическо настаняване.
Съседство: В близост се намира успешно функциониращ ЕКО комплекс и хотел 'Здравец', управляван от водещата варненска строителна компания Планекс, което гарантира високо ниво на инфраструктура и услуги в района.
Възможност за сондаж на вода в имота.

Завършени процедури по чл. 16 и отразени в АГКК Варна, с образувани два нови парцела.
Енергоснабдяване: Проект за трафопост и ел. трасета, в непосредствена близост до имота, собственост на Енерго Про

Обади се сега и цитирай този код 655374
Преглеждания: 4
Другите търсят също
Препоръчани за теб
Цена:
550 000 € 1 075 706,50 лв
Не се начислява ДДС