Продава ПАРЦЕЛ, гр. Пловдив, Индустриална зона - Юг → Обява 53437485

Продава ПАРЦЕЛ, гр. Пловдив, Индустриална зона - Юг, снимка 1 - Парцели - 53437485 Продава ПАРЦЕЛ, гр. Пловдив, Индустриална зона - Юг, снимка 2 - Парцели - 53437485 Продава ПАРЦЕЛ, гр. Пловдив, Индустриална зона - Юг, снимка 3 - Парцели - 53437485 1/3
Продава ПАРЦЕЛ, гр. Пловдив, Индустриална зона - Юг
гр. Пловдив, Индустриална зона - Юг Наблюдавай

Публикувана/обновена на 11 февруари в 10:03 ч.


Квадратура
6846 кв. м.
Цена на кв.м.
81 € кв. м.
Регулация
Да
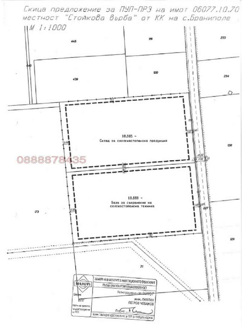
Частно лице предлага парцел в Южна индустриална зона. Имотът е 6846кв.м, със сменен статут и проект за База за съхранение на селскостопанска техника. Проектът включва присъединяване към близък трафопост и изграждане на път, свързващ имота с oколовръстното шосе Асеновград-София, което в момента, преди разширяването му е на около 400м. Първите 120м вече са асфалтирани. Има и разрешение за изграждане на сонда
Парцелът е без сервитут, с правилна правоъгълна форма(60м лице на път), равен и без висока растителност, което го прави изключително удобен за строеж.
Мястото на имота го прави идеален и за инвестиции, тъй като е в ключова бизнес зона, с гъвкави възможности за развитие. От едната му страна има изградени няколко жилищни комплекса, от другата -одобрен проект за разширяване на околовръстното шосе, а в близост е и новият Ритейл Коплекс, изграден през 2024.
Огледи на място- събота и неделя след предварителна уговорка. Лице за контакт: Деница- 0887/852807
Преглеждания: 56
Другите търсят също
Препоръчани за теб
Цена:
554 526 € 1 084 558,59 лв
Не се начислява ДДС