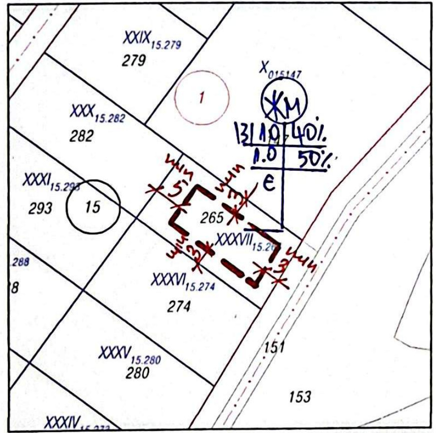
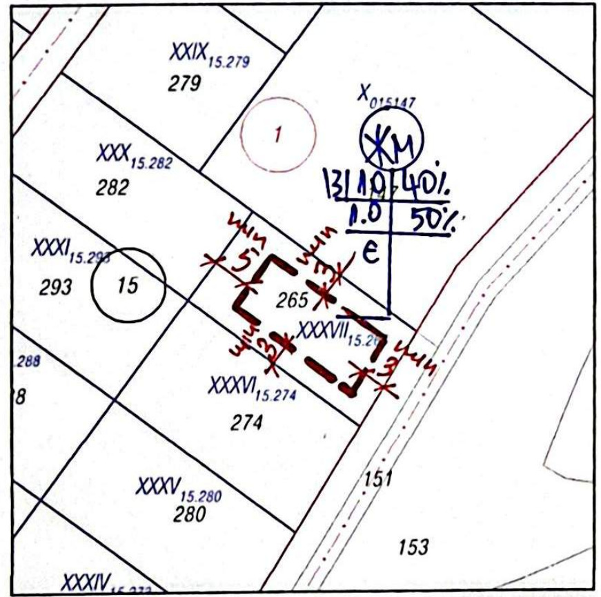
РЕВОЛЮШЪН ЕСТЕЙТ
В Bazar.BG от 16 ноември 2018г.
Последно активен
днес в 15:29 ч.
Още оферти на https://revolutionestate.imot.bg
