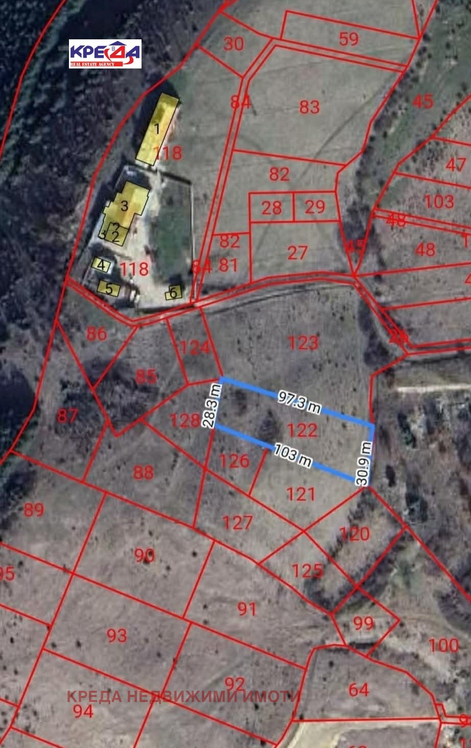
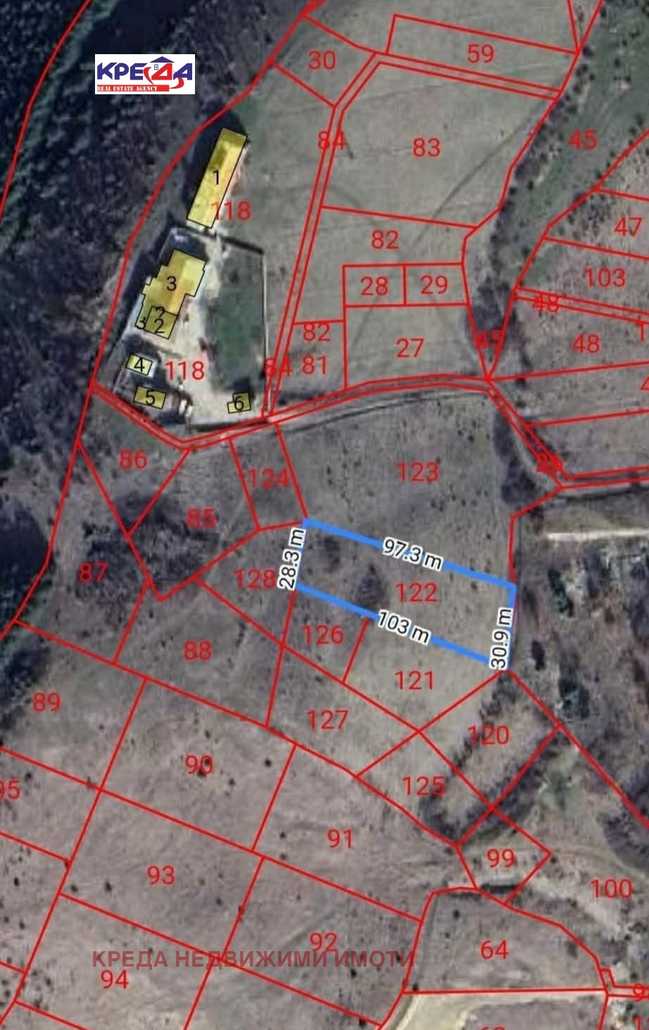
КРЕДА НЕДВИЖИМИ ИМОТИ
В Bazar.BG от 11 септември 2013г.
Последно активен
18 април в 12:53 ч.
Още оферти на https://kreda.imot.bg
